본문 시작
공개재산정보공개
공개재산의 이용현황등은 변경될 수 있고 이미 대부(임대)중인 재산외에 공유재산 관리 처분 기준에 따라 인접토지 소유자 등 이해관계인에게 대부(임대) 매각이 가능한 재산도 공개되므로 본 물건의 대부(임대)매수를 희망하시는 분은 사전에 재산관리 담당자와 충분히 상담하시기 바랍니다.
기본정보
| 물건종류 |
토지
|
||
|---|---|---|---|
| 물건관리기관 |
태안군
|
연락처 |
041-670-2749
|
재산현황
| 재산관리관 |
재무과
|
연락처 |
041-670-2749
|
|---|---|---|---|
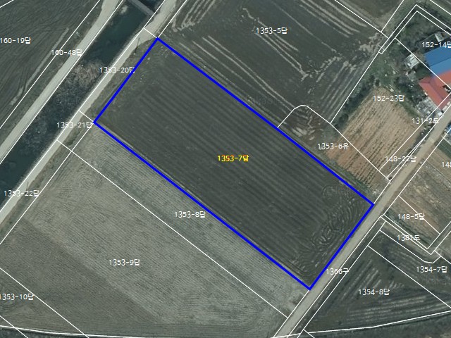
| 소재지 | 충청남도 태안군 소원면 신덕리 1353-7 | ||
| 토지 | 건물 | ||
| 지목(공부) |
답
|
건축연도 | |
| 지목(현황) |
답
|
구조형태 | |
| 지적(면적) |
3639.4㎡
|
건축면적 | |
| 공유지분 | 층 수 | ||
| 대부현황 |
대부중
|
기타 | |
| 관련정보 |
|
||
- 담당부서 : 재산관리팀
- 연락처 : 041-670-2682
이 누리집은 대한민국 공식 전자정부 누리집입니다.